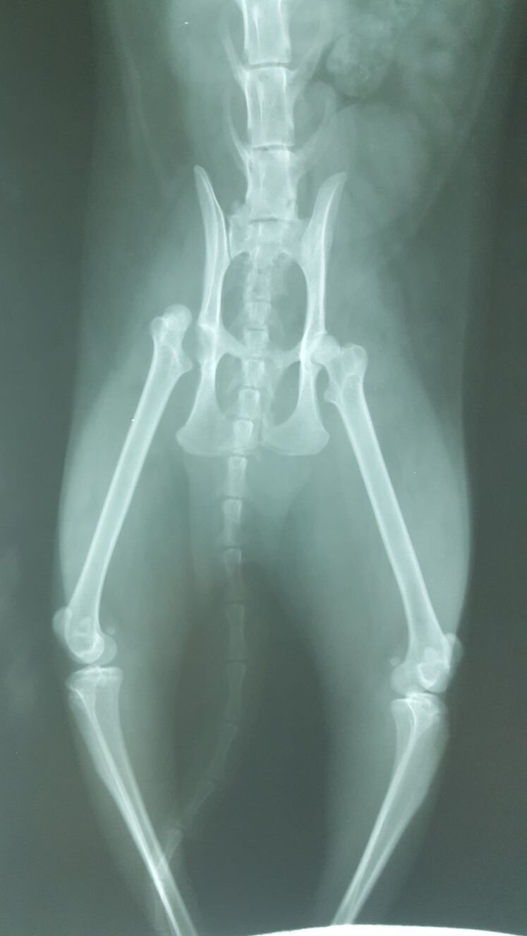
Le lussazione dell'anca nel cane e nel gatto sono in genere il risultato di un trauma esterno. Come condizione traumatica i segni clinici associati sono il dolore e movimento limitato dell'arto con presenza di crepitio. La diagnosi di lussazione può essere determinata sulla base dei segni clinici, ma per confermare la patologia é necessario eseguire radiografie dell'anca. Perla, gatto, incrocio siamese, anni due circa, femmina portata in visita per zoppia.



Il trattamento della lussazione coxo-femorale consiste nel ridurre la dislocazione e stabilizzazione dell ' articolazione.
Le opzioni terapeutiche sono la riduzione chiusa effettuata con alcune manovre da eseguire in anestesia generale
possibile se l ' articolazione non ha perso " il diritto di domicilio" per l ' apposizione nell ' acetabolo di materiale infiammatorio che ne ostacola il riposizionamento, e la stabilizzazione a" cielo aperto" con tecniche chirurgiche (sutura ileofemorale / protesizzazione capsula articolare / protesi capsula con ancorette o viti / Toggle Pin - fissazione con cavigliotto )



La scelta del metodo è in relazione al danno capsulare. Per Perla si è resa necessaria la stabilizzazione chirurgica , le foto mostrano la radiografia prima dell ' intervento, in corso di intervento e la gatta in sesta giornata post intervento. Perla ha iniziato a poggiare correttamente l ' arto a terra in quarta giornata post intervento.




